|
琉球大学熱帯生物圏研究センター西表研究施設の和智 仲是(わち なかただ)助教、東京農業大学の平井 幸成(ひらい こうせい)氏、荒井 周(あらい しゅう)氏、西表島在住の昆虫愛好家の庄山 守(しょうやま まもる)氏らの研究チームは、これまで石垣島の固有種と考えられていた「イシガキハイイロハネカクシ」が西表島にも生息していることを確認しました。本研究は、地域の自然環境や昆虫多様性の理解を深める成果です。
|
<発表概要>
イシガキハイイロハネカクシ(Eucibdelus ishigakiensis)は、1997年に石垣島で記載された大型のハネカクシ科の一種(文献1)です。世界でも石垣島にのみ生息する固有種とみなされ、これまで西表島からの報告はありませんでした。
今回の発見の直接のきっかけは、2025年3月に東京農業大学の平井氏が西表島を訪問し、琉球大学熱帯生物圏研究センター西表研究施設の和智助教が世話人をつとめる公開講座を開催したことでした。講座に参加していた地元の昆虫愛好家の庄山氏から「イシガキハイイロハネカクシは西表島にもいる」との情報が寄せられたのです。そこで和智助教と、以前から西表島の昆虫多様性解明に取り組んできた東京農業大学の荒井氏も加わり共同の調査を行い、実際に複数個体が採集されました。さらに平井氏の滞在中、講座をきっかけにハネカクシに関心を持った施設職員の奥田 康平(おくだ こうへい)氏が、まさに講座開催日の夜に施設の電灯で偶然採取した個体も本種であることが判明しました。
庄山氏が西表島で本種を採集したのは2004年に遡ります。その後20年以上にわたりライトトラップ調査を継続してきました。その長期データは、西表島における本種の個体群が一時的ではなく安定的に発生し、以前から生息していることを示す貴重な証拠となりました。また、イシガキハイイロハネカクシは従来「春の虫」として知られていました(文献2)。しかし庄山氏のデータによると、西表島ではむしろ冬季(1〜2月)にライトトラップで多く確認されており、冬から成虫が活動を開始している可能性が示唆されました。これは、石垣島での既知の活動期(春の花期)とは異なる興味深い知見です。
これらの結果を総合し、イシガキハイイロハネカクシの西表島における新産地記録と、活動時期に関する新知見として報告しました。本研究は、地域の愛好家である庄山氏による20年以上の長期観察と、地域の研究者と島を訪れる研究者による調査・分析が公開講座を通じて結びついた成果です。特に、西表島に施設を持つ研究機関が存在し、地域住民と島内外の研究者が日常的に交流できる環境があったことが、情報の共有と発見につながったととらえています。

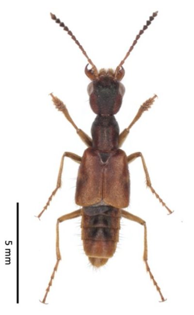
図1. 西表島産イシガキハイイロハネカクシ
2004年2月に採集された個体(左)と2025年3月に採集された個体(右)
<今後の展望>
これまでイシガキハイイロハネカクシは「春の虫」として知られ、花での採集記録が中心でした。しかし、庄山氏の長期にわたるライトトラップによる記録により、冬(1〜2月)から個体が多く採集されることが明らかになりました。その生態的意義は未解明ですが、同属60種のうち12種しかライトトラップで採集されていないこと、そしてほとんどの種で任意採集と採集時期が重なること(文献3)から、冬季のライトトラップ調査は本種や同属種の生態解明に向けた有力な手法である可能性が示されました。
今回の報告は、石垣島の隣の西表島からも新産地が見つかったというだけの小さな発見ですが、単なる分布記録の更新にとどまらず、地域住民と研究者の協働が新たな知見を生む可能性も示しています。今後も、西表島や八重山諸島で地域住民や愛好家の知見と研究者の調査を組み合わせることで、地域の昆虫の分布や生態の理解を深めるとともに、地域に根ざした自然史研究や生物多様性保全への貢献ができるのではないかと考えています。
<参考文献>
1) Hayashi Y (1997) Studies on Staphylinidae from Japan, VI. A new species and two new subgenera of the genus Eucibdelus Kraatz from Japan. The Entomological Review of Japan 52 (1): 25–37.
2) 松村雅史 (2022) イシガキハイイロハネカクシ, p. 134, pl. 16. 松村雅史 (編著) 沖縄甲虫図鑑, 沖縄時事出版
3) Schillhammer H (2023) Studies on the Eucibdelus lineage, part 4. Revision of Eucibdelus Kraatz, 1859 (Coleoptera: Staphylinidae: Staphylininae). Koleopterologische Rundschau 93: 53–180.
<論文情報>
(1) 論文名:New island record and seasonal activity of Eucibdelus (Eucibdelus) ishigakiensis Hayashi, 1997 (Coleoptera: Staphylinidae: Staphylininae) from Iriomote Island, southern Japan, including notes on behavior and long-term records by an amateur naturalist
(2) 雑誌名:Check List 21 (5): 877–883.
(3) 著者名:Kosei Hirai (equally contributed), Nakatada Wachi* (equally contributed), Mamoru Shoyama, Shu Arai
*: 責任著者
(4) URL:https://checklist.pensoft.net/article/165187/
(5) DOI:https://doi.org/10.15560/21.5.877
