<Dissertation information>
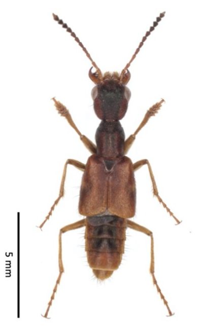
(1)Title:New island record and seasonal activity of Eucibdelus (Eucibdelus) ishigakiensis Hayashi, 1997 (Coleoptera: Staphylinidae: Staphylininae) from Iriomote Island, southern Japan, including notes on behavior and long-term records by an amateur naturalist
(2)Journal:Check List 21 (5): 877–883.
(3)Author:Kosei Hirai (equally contributed), Nakatada Wachi* (equally contributed), Mamoru Shoyama, Shu Arai
(4) URL:https://checklist.pensoft.net/article/165187/
(5) DOI :https://doi.org/10.15560/21.5.877
